Dieser Blogpost handelt von meiner Atlantikreise mit der SY Lisa und wurde vom alten Blog (sy-lisa.ch) übernommen.
Nach gerade einmal eineinhalb Stunden Fahrt sind wir in Amerika, oder vielmehr auf den amerikanischen Jungferninseln. Wir ankern in der Cruz Bay auf St. John in der Nähe vom Customs-Büro. Kaum liegt der Anker, treffen wir Vladimir und Marina von der White Star, die mit dem Dinghy auf dem Weg zum Einklarieren sind – man trifft also überall Leute, die man kennt! Das Einklarieren geht dank unseres US-Visums sehr schnell und einfach. Und danach wandern wir durch den Ort und in den nächsten Supermarkt, und hier freuen wir uns, in Amerika zu sein! Frische Lebensmittel zu bekommen, war auf den Britischen Jungferninseln doch eher schwierig und vor allem teuer. Es geht amerikanisch weiter, zum Essen gehen wir Ribs und Burger essen. Abends verholen wir in die Caneel Bay, denn in der Cruz Bay ist es uns zu eng. In der Caneel Bay, wie fast überall auf St. John, muss man an einer Mooring liegen – haben wir schon erwähnt, dass Moorings nerven? Meistens wachen wir nachts auf, und der blöde Mooring-Ball knallt immer und immer wieder gegen die Bordwand. Das passiert, wenn der Wind einschläft und dazu auch noch die Tide kippt. Noch dazu ist es in dieser Nacht sehr rolly, sodass Max irgendwann in den Salon umzieht.
Der nächste Tag ist verregnet, also machen wir das, was wir zuhause an einem regnerischen Tag auch machen würden – um die Wette im Schlafanzug rumgammeln. Naja, nebenbei erledigen wir natürlich auch einige Sachen an Bord, die wir sonst immer aufschieben, und abends setzen wir auch mal einen “Fuss vor die Türe”, denn wir sind bei Vladimir und Marina zu Drinks eingeladen.
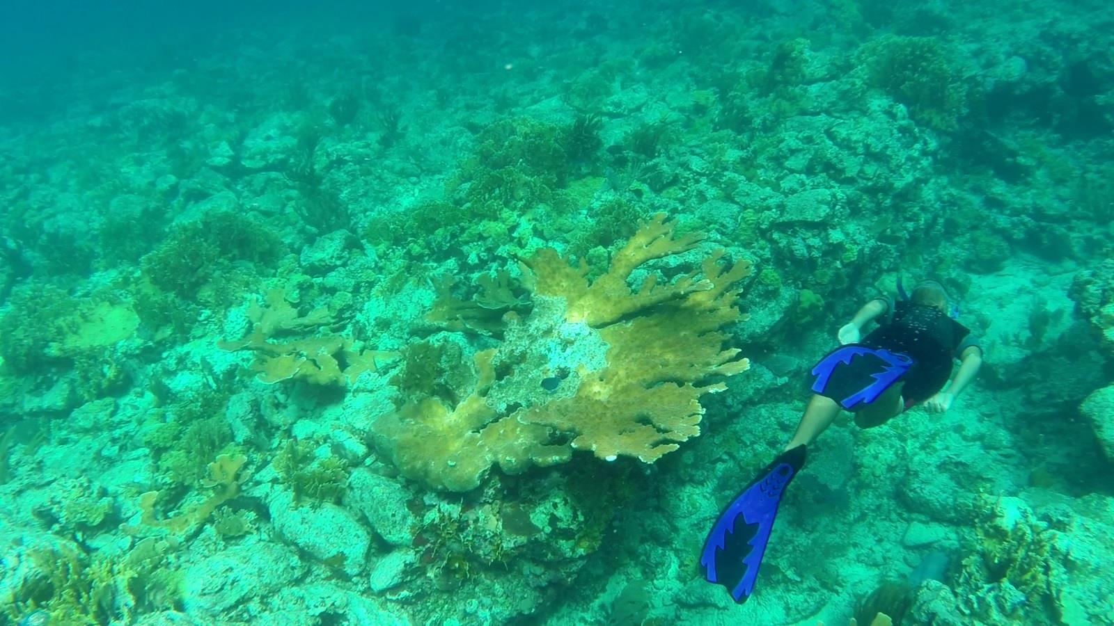
Am nächsten Morgen fahren wir früh weiter, und sind schon um 8 Uhr an einer Mooring in der Trunk Bay, um dort zu schnorcheln. Nach einem schönen Schnorchelgang fahren wir weiter nach Great St. James Island im Südosten von St. Thomas. Von dort aus geht es mit dem Dinghy zu “Cow and Calf”, ein Korallenriff vor der Insel. Auch wenn dort viel Schwell ist, so ist das doch einer der tollsten Schnorchelplätze bis jetzt! Die Korallen sind bunt und unbeschädigt, und wir sehen Kugelfische, Engelsfische, und Langusten. In der Bucht lernen wir auch Thorsten und Gabi kennen, die mit ihrer “Christa” – auch eine alte Malö-Lady – seit 3 Jahren in der Karibik unterwegs sind.
Am nächsten Tag wollen wir weiter nach St. Thomas, aber vorher gehen wir nochmal in der Ankerbucht schnorcheln. Am frühen Nachmittag sind wir dann in Charlotte Amalie, und wenig später liegt auch die Christa hinter uns. Der Ort Charlotte Amalie ist, nun ja, wie jeder andere Ort in der Karibik, wo jeden Tag mindestens 2 Kreuzfahrtschiffe anlegen. Das heisst, voll mit Juwelieren und T-Shirt-Ständen. Wenn man sowas alle paar Wochen mal sieht, schadet das gar nicht, denn dann rückt unsere Reise für uns mal wieder in Perspektive – denn wir haben es so gut und können an all die schönen Plätze in der Karibik fahren, anstatt jeden Morgen vor neuen, aber doch immer den gleichen, Juweliergeschäften aufzuwachen.
Da wir unsere frischen Lebensmittel von St. John bereits wieder verputzt haben, decken wir uns auch hier wieder ein, und geniessen die amerikanische Auswahl im Supermarkt. Echt schön, wenn man endlich mal wieder die Gerichte wie zuhause kochen kann, ohne dass man dauernd Zutaten ersetzen muss, weil es sie nicht zu kaufen gibt.
Die US Virgin Islands haben uns insgesamt viel besser gefallen als die britischen. Kaum Charterboote (und auch weniger Fahrtenyachten, weil viele von der Visumspflicht abgeschreckt sind) leere Buchten und schöne Schnorchelplätze, und natürlich gute Einkaufmöglichkeiten. Unser nächster Stop: Puerto Rico!












